PAMELA ERGANG / 3% REALTY PROGRESS
MLS® # A2267702
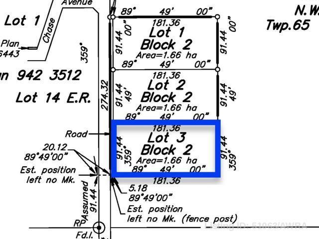
4.1 acres under 5 minutes to Athabasca, within walking distance to a 9 hole golf course and 480 acres of crown land for your enjoyment. Covered in beautiful mature spruce and poplar, ready to develop to your desire. Approach is already in, survey pins marked. On a dead end road with no through traffic. Price is plus GST.