Kevin Moore / Legacy Real Estate Services
MLS® # A2289673
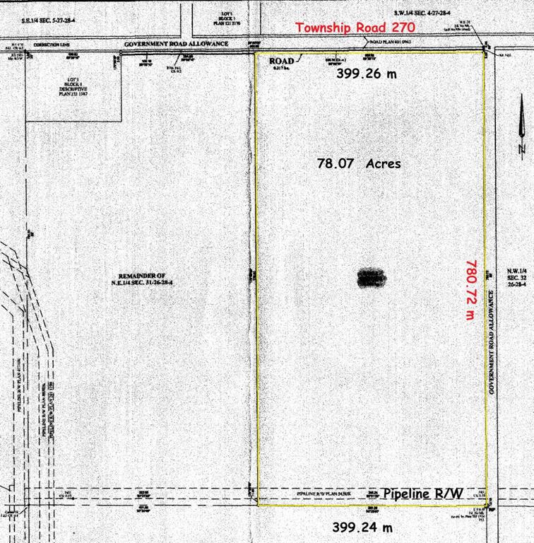
Country Quiet, City Close! 78 Acres on PAVED Township Road 270 just east of Airdrie, Alberta. Combination of hay and pasture, with nice elevated building sites with Mountain, City and country views. Quick access to Airdrie, CrossIron Mills and Calgary. Ideal for quiet country living and home based business (by permit), A-SML Agricultural, Small Parcel District. 1,300' frontage on Township Road 270. East from Airdrie on Yankee Valley Boulevard/Township Road 270 past Airdrie Airpark and past Range Road 2...